Alma Road, Carshalton

3 bedroom Semi-detached house Sold STC

£750,000

  • 3 bedroom
  • 1 bathroom
  • 3 reception

Council Tax Band: E

Key Features

  • A rare opportunity to acquire both a substantial, characterful Victorian semi located in one of Carshalton's most sought after roads together with a separate potential building plot already registered
  • The current property is a lovely "period gem" with a wide & welcoming entrance hall, three independent reception rooms, a kitchen, cloakroom and utility on the ground floor with three double bedrooms
  • Some sympathetic modernisation and updating is required, but the property affords masses of character features and considerable potential for extension & improvement (STPP)
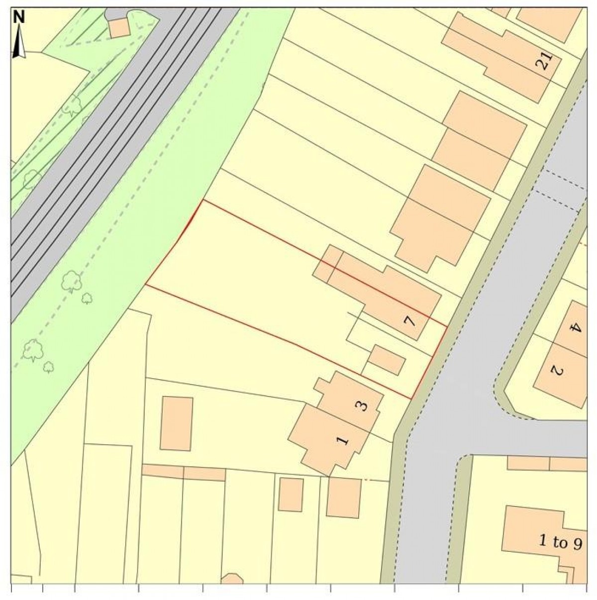
  • The adjoining plot, which is considerably larger than that of the house, offers potential (STPP) for either a separate dwelling or an immense side extension to the existing house
  • Both plots combined are believed to be around 0.15 acres - buyers are advised to make their own enquiries in relation to usages
  • The house is Council Tax Band "C", Freehold and has an EPC rating of "D" (55/78)
  • The owners would prefer to sell both the house and plot to one buyer
  • Located only 5 mintes walk from St Philomena's Girls School and less than half a mile from Carshalton BR station. The Village centre, The Grove and several other excellent schools are within a 0.6 mil
  • Sutton town centre, the mainline BR station, Sutton Grammar and Sutton High School for Girls are all roughly 1 mile away
  • Viewing of this house and plot are highly recommended - so call today to book an appointment

Description

Silverman Black is delighted to offer a rare opportunity for a discerning buyer to acquire both a house (7 Alma Road) and an adjoining potential building plot (5 Alma Road) located on one of Carshalton's most popular and sought after roads! The existing property is a substantial & characterful three bedroom Victorian semi detached house which does require some sympathetic modernisation and updating, but which also affords exceptional accommodation - incorporating three ground floor reception rooms with three generously proportioned double bedrooms and a bathroom on the upper floor. The adjoining plot, which is considerably larger than that of the house, is already held on it's own freehold title and is termed at the Land Registry as having it's own address within the road - so it would seem unlikely that planning permission would be withheld for either a completely separate detached property, or for an extremely large side extension to the existing house - potentially tripling the size of the current property! The grounds, whilst rather overgrown at present, extend considerably to the rear - the whole plot believed to be around 0.15 acres. The owners are keen to sell both the plot and house to a single buyer, who is advised to make their own investigations into the potential usage of both properties. In terms of local facilities, Alma Road is predominantly populated with Victorian houses of various architectural styles and lies almost directly behind St Philomena's girls school and St Marys Catholic Nursery & Infants school. Carshalton Village centre, The Grove and All Saints Church are all just over 10 minutes walk away (0.6 miles), whilst Carshalton BR station is only half a mile distant - giving access to Clapham Junction and London Victoria is less than 30 minutes on the fast trains. Sutton town centre, the mainline BR station, Sutton Grammar and the exceptional Sutton High School for Girls are all around 1 mile from the property. Viewing is highly recommended


Location


Floorplan

Floorplan

EPC


Similar Properties

Sweetbriar Avenue, Carshalton
For Sale

Sweetbriar Avenue, Carshalton

2 Bed Apartment For Sale
Guide price £330,000
15 Barrow Avenue, CARSHALTON
Sold STC

15 Barrow Avenue, CARSHALTON

3 Bed Semi-detached house Sold STC
Guide price £775,000
Strawberry Lane, Carshalton
Sold STC

Strawberry Lane, Carshalton

2 Bed Maisonette Sold STC
Guide price £385,000